Lacazia loboi gen. nov., comb. nov., the etiologic agent of lobomycosis
- PMID: 10325371
- PMCID: PMC85020
- DOI: 10.1128/JCM.37.6.2031-2033.1999
Lacazia loboi gen. nov., comb. nov., the etiologic agent of lobomycosis
Erratum in
- J Clin Microbiol 2000 May;38(5):2026
Abstract
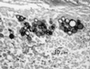
The new genus Lacazia P. Taborda, V. Taborda, et McGinnis is proposed to accommodate Lacazia loboi (O. M. Fonseca et Lacaz) P. Taborda, V. Taborda, et McGinnis, the obligate pathogen that causes lobomycosis in mammals. The continued placement of that fungus in the genus Paracoccidioides Almeida as Paracoccidioides loboi is taxonomically inappropriate. Loboa loboi Ciferri et al. is a synonym of Paracoccidioides brasiliensis.
Figures
References
-
- Almeida F. Estudos comparativos do granuloma coccidióidico nos Estados Unidos e no Brasil. Novo gênero para o parasito brasileiro. An Fac Med Sao Paulo. 1930;5:125–141.
-
- Almeida F, Lacaz C S. -1949. Blastomicose “tipo Jorge Lobo.”. An Fac Med Univ Sao Paulo. 1948;24:5–37.
-
- Artagaveytia-Allende R C, Montemayor L. Estudio comparativo de varias cepas de Paracoccidioides brasiliensis y especies afines. Mycopathologia. 1949;4:356–366.
-
- Borelli D. Lobomicose: nomenclatura de su agente (revisión critica) Med Cutanea. 1968;3:151–156.
-
- Ciferri R, Azevedo P C, Campos S, Carneiro L S. Taxonomy of Jorge Lobo’s disease fungus. Inst Micol Univ Recife. 1956;53:1–21. - PubMed
MeSH terms
LinkOut - more resources
Full Text Sources
