Growth inhibition of an Araucaria angustifolia (Coniferopsida) fungal seed pathogen, Neofusicoccum parvum, by soil streptomycetes
- PMID: 23866024
- PMCID: PMC3728081
- DOI: 10.1186/1471-2180-13-168
Growth inhibition of an Araucaria angustifolia (Coniferopsida) fungal seed pathogen, Neofusicoccum parvum, by soil streptomycetes
Abstract
Background: Araucariaceae are important forest trees of the southern hemisphere. Life expectancy of their seedlings can largely be reduced by fungal infections. In this study we have isolated and characterized such a fungus and investigated the potential of Streptomyces Actinobacteria from the respective rhizosphere to act as antagonists.
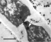
Results: The pathogenic fungus from Araucaria angustifolia seeds was identified by morphological markers (pore-associated Woronin-bodies) as belonging to the Pezizomycotina. Molecular data identified the fungus as Neofusicoccum parvum (Botryosphaeriaceae). Co-cultures on agar of this fungus with certain streptomycete isolates from the rhizosphere, and from the surface of Araucaria roots significantly reduced the growth of the fungus. HPLC analysis of the agar yielded streptomycete-specific exudate compounds which were partly identified. There were differences in compounds between single (bacteria, fungus) and dual cultures (bacteria + fungus).
Conclusion: Streptomycetes from the rhizosphere of Araucariaceae produce exudates which can suppress the development of pathogenic fungi in their seeds.
Figures






References
-
- Janzen DH. The future of tropical ecology. Ann Rev Ecol Syst. 1988;17:303–324.
-
- Golte W. Araucaria - Verbreitung und Standortansprüche einer Coniferengattung in vergleichender Sicht. Stuttgart, Germany: Franz Steiner Verlag; 1993.
-
- Fähser L. Die Bewirtschaftung der letzten Brasilkiefer-Naturwälder, eine entwicklungspolitische Aufgabe. Forstarchiv. 1981;52:22–26.
-
- Fähser L. In: Enzyklopädie der Holzgewächse 3. Schütt P, Schuck HJ, Lang UM, Roloff A, editor. Landsberg, Germany: Ecomed-Verlag; 1995. Araucaria angustifolia.
-
- Seitz R. Hat die Araukarie in Brasilien noch eine Zukunft? AFZ. 1983;38:177–181.
Publication types
MeSH terms
Substances
LinkOut - more resources
Full Text Sources
Other Literature Sources