Identification of TRAIL-inducing compounds highlights small molecule ONC201/TIC10 as a unique anti-cancer agent that activates the TRAIL pathway
- PMID: 25927855
- PMCID: PMC4428111
- DOI: 10.1186/s12943-015-0346-9
Identification of TRAIL-inducing compounds highlights small molecule ONC201/TIC10 as a unique anti-cancer agent that activates the TRAIL pathway
Erratum in
-
Correction: Identification of TRAIL-inducing compounds highlights small molecule ONC201/TIC10 as a unique anti-cancer agent that activates the TRAIL pathway.Mol Cancer. 2024 Oct 18;23(1):233. doi: 10.1186/s12943-024-02158-w. Mol Cancer. 2024. PMID: 39425129 Free PMC article. No abstract available.
Abstract
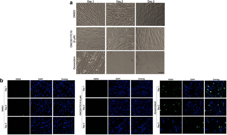
Background: We previously reported the identification of ONC201/TIC10, a novel small molecule inducer of the human TRAIL gene that improves efficacy-limiting properties of recombinant TRAIL and is in clinical trials in advanced cancers based on its promising safety and antitumor efficacy in several preclinical models.
Methods: We performed a high throughput luciferase reporter screen using the NCI Diversity Set II to identify TRAIL-inducing compounds.
Results: Small molecule-mediated induction of TRAIL reporter activity was relatively modest and the majority of the hit compounds induced low levels of TRAIL upregulation. Among the candidate TRAIL-inducing compounds, TIC9 and ONC201/TIC10 induced sustained TRAIL upregulation and apoptosis in tumor cells in vitro and in vivo. However, ONC201/TIC10 potentiated tumor cell death while sparing normal cells, unlike TIC9, and lacked genotoxicity in normal fibroblasts. Investigating the effects of TRAIL-inducing compounds on cell signaling pathways revealed that TIC9 and ONC201/TIC10, which are the most potent inducers of cell death, exclusively activate Foxo3a through inactivation of Akt/ERK to upregulate TRAIL and its pro-apoptotic death receptor DR5.
Conclusion: These studies reveal the selective activity of ONC201/TIC10 that led to its selection as a lead compound for this novel class of antitumor agents and suggest that ONC201/TIC10 is a unique inducer of the TRAIL pathway through its concomitant regulation of the TRAIL ligand and its death receptor DR5.
Figures







References
Publication types
MeSH terms
Substances
Grants and funding
LinkOut - more resources
Full Text Sources
Other Literature Sources
Medical
Research Materials
Miscellaneous