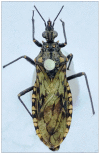
Panstrongylus rufotuberculatus (Champion, 1899) (Hemiptera, Reduviidae, Triatominae) in Rondônia, Brazil: A novel report
- PMID: 34431942
- PMCID: PMC8405211
- DOI: 10.1590/0037-8682-0141-2021
Panstrongylus rufotuberculatus (Champion, 1899) (Hemiptera, Reduviidae, Triatominae) in Rondônia, Brazil: A novel report
Abstract
Introduction: This short communication presents a novel report on the occurrence of Panstrongylus rufotuberculatus in the Brazilian state of Rondônia.
Methods: Two specimens were collected inside dwellings and identified using dichotomous keys.
Results: The present study showed the extensive geographic distribution of P. rufotuberculatus and the increased number of species in the state of Rondônia.
Conclusions: This new record of P. rufotuberculatus is important for understanding the epidemiology of Chagas disease because this species is found naturally infected with Trypanosoma cruzi. Studies on the ecology, biology, and vector-host-parasite interactions of this species are essential for surveillance programs.
Conflict of interest statement
Figures



References
-
- Galvão C. Vetores da doença de Chagas no Brasil. Curitiba: Sociedade Brasileira de Zoologia; 2014. 289p
-
- Salomon OD, Ripoll CM, Rivetti E, Carcavallo RU. Presence of Panstrongylus rufotuberculatus (Champion,1899) (Hemiptera: Reduviidae: Triatominae) in Argentina. Mem Inst Oswaldo Cruz. 1999;94(3):285–288. - PubMed
MeSH terms
LinkOut - more resources
Full Text Sources